Back to Projects

Residential Subdivision Plan Design - Town of Urbanville

AutoCAD Design

Click on any image to view full resolution and zoom in for details

Project Description

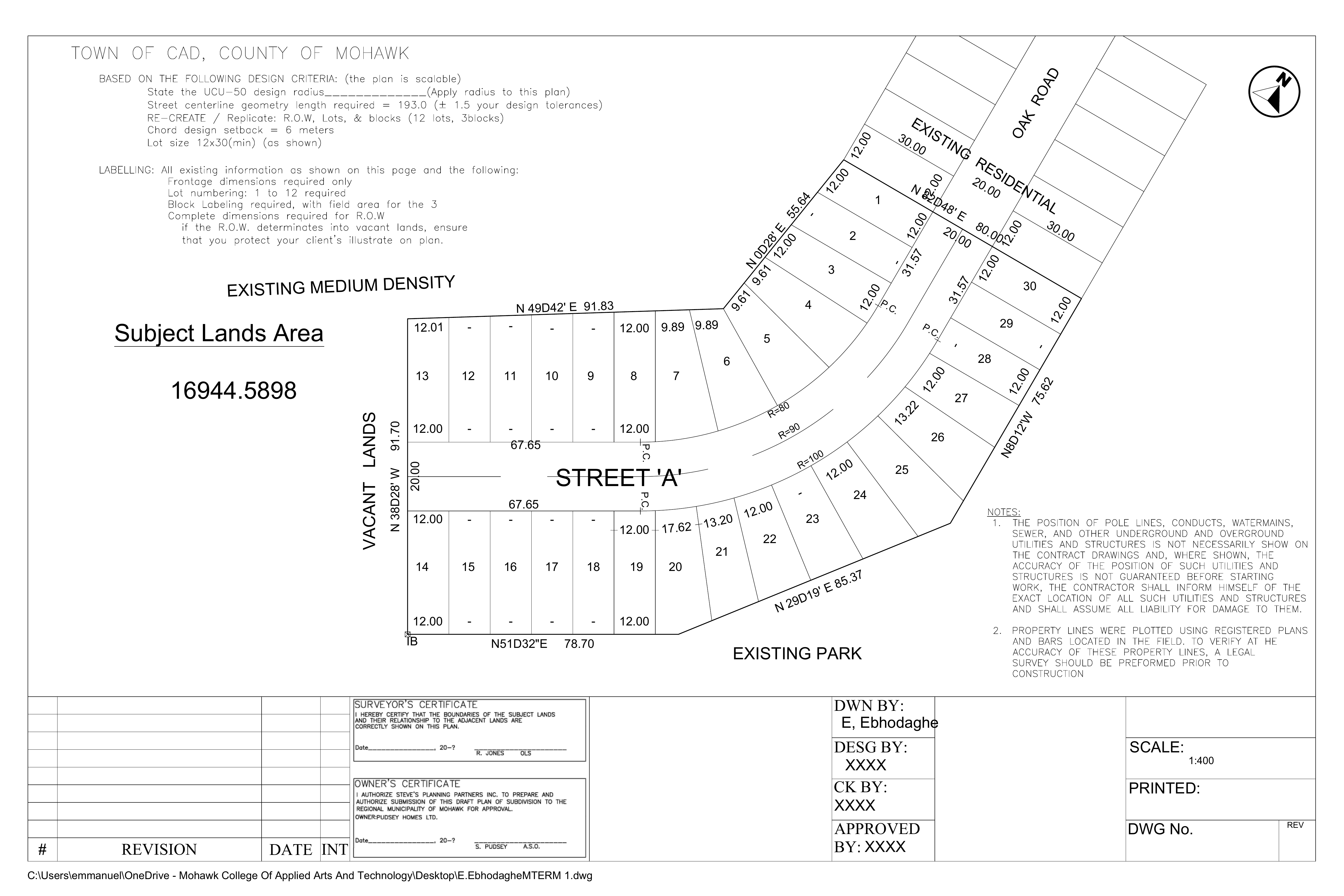
A comprehensive subdivision planning and design project for a residential development in the Town of Urbanville on Main Street. The project involved creating detailed lot layouts, street designs with geometric curves, and right-of-way specifications. The design incorporated multiple residential lots with precise dimensioning, street curves using proper geometric design principles, and integration with existing Oak Road infrastructure. The subdivision plan demonstrates understanding of municipal planning requirements and residential development standards.

My Role & Responsibilities

Designed complete subdivision layout with lot configurations, calculated curve radii for Street 'A' (R=9m, R=10m), prepared precise lot dimensions and areas, designed street geometries and right-of-way widths, and created technical drawings showing point of curve locations and centerline geometry. Coordinated subdivision design with existing road infrastructure and property boundaries, ensuring compliance with municipal subdivision standards.

Outcomes & Impact

Delivered complete subdivision plan for residential development with properly dimensioned lots, street layouts meeting geometric design standards, and integration with existing municipal infrastructure. The design included multiple residential parcels (Lots 1-11, Block 1) with areas calculated to precision standards. Successfully designed street curves and intersections ensuring safe and efficient traffic flow while maximizing developable land area within the subdivision.

Tools & Software

AutoCADSubdivision DesignGeometric DesignMunicipal PlanningLand Development